促愈凝胶怎么排出《Chemical Engineering Journal》:可用作可促进愈合的伤口敷料新型生物活性复合水凝胶

新闻资讯2026-04-21 02:01:36

皮肤是人体最大的器官,是防止微生物渗入和脱水的重要屏障。皮肤极易受到伤害,超过一定直径的皮肤缺损不能自愈,但人体皮肤具有很高的自我再生潜力。伤口愈合是一个动态而复杂的过程,伤口的再生包括四个连续的阶段,即止血、炎症、增殖和重塑。急性和/或慢性伤口给全世界的患者和医疗保健系统带来了显着的负担。适当的伤口敷料治疗策略可以减轻这种昂贵的负担,例如纱布、泡沫、水凝胶等。水凝胶因其良好的组织相容性、良好的亲水性、吸湿性、保湿性和三维(3D)多孔结构而被认为是最具竞争力的伤口敷料。水凝胶由约 90 wt% 的水和 10 wt% 的天然或/和合成聚合物组成,这些聚合物通过共价和超分子非共价相互作用形成。


来自华中科技大学同济医学院附属协和医院的陈江海、比利时布鲁塞尔自由大学的Amin Shavandi以及来自武汉理工大学的樊李红团队合作使用脱细胞细胞外基质 (ECM)、GelMA 和载有聚多巴胺的积雪草苷 (AC@PDA) 纳米颗粒制备了生物活性复合水凝胶,可用作可促进愈合的伤口敷料。使用脱细胞方法从猪跟腱组织中获得 ECM,然后合成了 AC@PDA 纳米粒子,发现其具有均匀的球形结构和良好的细胞相容性,特别是与单独的 PDA 纳米粒子相比。生物活性复合水凝胶的力学性能表现出良好的弹性和压缩后的形状恢复,由于添加纳米颗粒,抗压强度略有下降。还发现通过使用 EDC/NHS 形成互穿网络可以改善水凝胶的机械性能和保湿性。PDA/ECM-G 和 AC@PDA/ECM-G 水凝胶显示出更高的吸水能力和与 ECM-G 水凝胶相似的保湿能力。通过 SEM 观察水凝胶的微观结构,ECM-G 水凝胶呈现出致密的结构,而 PDA/ECM-G 和 AC@PDA/ECM-G 水凝胶由于存在更多的孔隙和相互连接的结构纳米粒子。对人皮肤成纤维细胞的体外细胞毒性试验表明,所有水凝胶均具有良好的生物相容性。水凝胶的体内伤口愈合性能也在小鼠的全层切除伤口模型上进行了测试,AC@PDA/ECM-G 水凝胶显示出最快的伤口愈合,没有疤痕和形成毛囊。AC@PDA/ECM-G水凝胶在促进伤口愈合方面表现最好。这些结果表明生物活性水凝胶具有用作伤口敷料的潜力。相关工作以题为“Bioactive wound dressing based on decellularized tendon and GelMA with incorporation of PDA-loaded asiaticoside nanoparticles for scarless wound healing”的文章发表在2023年4月25日的国际顶级期刊《Chemical Engineering Journal》


促愈凝胶怎么排出《Chemical Engineering Journal》:可用作可促进愈合的伤口敷料新型生物活性复合水凝胶_https://www.jmylbn.com_新闻资讯_第1张


1. 创新型研究内容

本文采用猪跟腱获得脱细胞ECM,处理过程如图1所示。在脱细胞过程中,纤维组织的结构被冻结的冰晶破坏,细胞外膜也被刺破,细胞也脱离了原来的基质。不含脂肪的猪跟腱组织、冷冻和 HAc 处理后的组织以及最终压碎的组织分别显示在图2B i、ii 和 iii 中。脱细胞过程应用于天然组织以去除组成细胞并获得 ECM。本文使用的肌腱组织细胞含量低,适合脱细胞处理。脱细胞过程后,组织中的细胞数量显着减少。本研究使用荧光测定法(DAPI/鬼笔环肽-FITC)研究未处理肌腱和脱细胞 ECM 中的细胞分布,细胞核用蓝色表示,细胞质用绿色表示。据观察,与未处理的肌腱相比,ECM 中的残留细胞大大减少。对残留细胞含量进行进一步统计分析表明,未经处理的肌腱中的细胞含量为 77.33 ± 8.22% per/mm,脱细胞 ECM 中的细胞含量降至 0.32 ± 0.13% per/mm。使用 SEM 研究获得的 ECM 的微观结构,观察到相互连接的多孔微观结构形态,没有观察到残留细胞。天然肌腱具有独特的组织结构,胶原纤维束沿组织排列以显示卷曲结构,并且在这项工作中使用改进的脱细胞方法破坏了这种卷曲结构。


促愈凝胶怎么排出《Chemical Engineering Journal》:可用作可促进愈合的伤口敷料新型生物活性复合水凝胶_https://www.jmylbn.com_新闻资讯_第2张

图1 猪跟腱脱细胞过程示意图


接下来,按照修改后的文献方法,本研究制造了载有 PDA 的 AC (AC@PDA) 纳米粒子。首先使用单体多巴胺的环化和聚合合成PDA纳米颗粒,然后将AC负载到PDA纳米颗粒中。制备过程如图2所示。本研究进行 FT-IR 光谱以确认 PDA 纳米粒子的合成,如图 2B 所示。1629 cm-1 处归因于 PDA 的 C = O 键的峰、 2811 cm-1 处对应于 N-H 基团伸缩振动的吸收峰消失以及3300 cm-1 附近的峰显着增强,证实了成功PDA纳米粒子的合成。TEM 图像表明,所获得的 PDA 和 AC@PDA 纳米粒子成功形成了均匀的球形结构。制备的 PDA 和 AC@PDA 纳米粒子是单分散的,平均粒径分别为 379.2 ± 14.5 nm 和 392.4 ± 17.5 nm。然而,根据流体动力学直径直方图分布图,PDA 和 AC@PDA 纳米粒子的流体动力学直径分别略微增加至 481.6 ± 16.3 nm 和 563.1 ± 18.2 nm,而多分散指数两种纳米粒子都在 0.2 的范围内。从 TEM 图像上的 DLS 测试获得的较大值归因于 PDA 纳米粒子由于其亲水性而在水溶液中水合的溶胀。此外,通过与人皮肤成纤维细胞(HSF)细胞一起培养,进一步研究了 PDA 和 AC@PDA 纳米粒子的细胞相容性。结果表明,两种纳米粒子均具有良好的细胞相容性;然而,由于添加了 AC,AC@PDA 纳米粒子显示出比 PDA 纳米粒子更好的细胞相容性。


促愈凝胶怎么排出《Chemical Engineering Journal》:可用作可促进愈合的伤口敷料新型生物活性复合水凝胶_https://www.jmylbn.com_新闻资讯_第3张

图2 AC@PDA 纳米粒子的制备示意图和多巴胺 (DA) 和 PDA 纳米粒子的 FT-IR 光谱


本研究使用脱细胞 ECM、GelMA 和 AC@PDA 纳米粒子制备了生物活性复合水凝胶,并研究了水凝胶的理化性质,包括机械性能、吸水和保水性能、自由基清除率、流变性能、生物降解性和微观结构。使用 UV-Vis 光谱分析证实了 PDA 纳米粒子在水凝胶网络中的成功结合,所有获得的水凝胶的 UV-Vis 光谱显示在图 3 中。与 ECM-G 水凝胶相比,观察到 PDA/ECM-G 和 AC@PDA/ECM-G 水凝胶在 281.50 nm 处的吸收峰,这主要是由于 PDA 纳米粒子的吸收。此外,AC@PDA/ECM-G 水凝胶在 346.76 nm 处检测到的吸收峰归因于 AC 的特征吸收,证实 AC 在制备的生物活性 AC@PDA/ECM-G 水凝胶中成功加载。获得的生物活性水凝胶的机械性能如图 3B 和 3C 所示。制备的 ECM-G、PDA/ECM-G 和 AC@PDA/ECM-G 水凝胶在空气中压缩后可恢复形状。传统脱细胞ECM的结构在接触水后由于孔隙支柱的塌陷而迅速塌陷,进而进一步影响伤口湿度。二次循环压缩应力-应变曲线表明,生物活性水凝胶具有良好的弹性,整形器恢复后抗压强度没有明显变化。然而,由于添加了纳米粒子,与 ECM-G 水凝胶相比,PDA/ECM-G 和 AC@PDA/ECM-G 水凝胶的抗压强度略有下降。FT-IR 进一步用于研究获得的水凝胶。对于 GelMA 水凝胶,3075 和 1654 cm-1 处的峰分别有助于 N-H 拉伸和酰胺 I。对于基于 ECM 的水凝胶(ECM-G、PDA/ECM-G 和 AC@PDA/ECM-G)的 FT-IR 光谱,可以观察到 3086、1655 和 1552 cm-1 处的典型酰胺带,显示 N-H(酰胺 B)的伸缩振动、C = O 伸缩(酰胺 I)和 N-H 变形(酰胺 II),证实制备的生物活性水凝胶中存在胶原蛋白。


促愈凝胶怎么排出《Chemical Engineering Journal》:可用作可促进愈合的伤口敷料新型生物活性复合水凝胶_https://www.jmylbn.com_新闻资讯_第4张

图3 制备的水凝胶的紫外-可见光谱、抗压强度和水凝胶的二次循环压缩应力-应变曲线


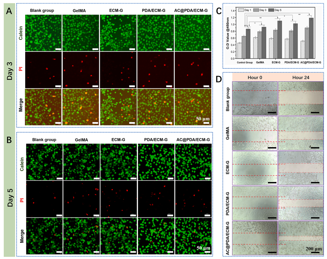
生物活性水凝胶作为伤口敷料的细胞相容性是伤口愈合的重要指标。本研究使用荧光分析和 CCK-8 研究了制备的水凝胶的细胞相容性(图 4)。HSF 细胞接种在 ECM-G、PDA/ECM-G 和AC@PDA/ECM-G 水凝胶上,GelMA 水凝胶用作比较,使用钙黄绿素乙酰氧基甲酯/碘化丙啶(钙黄绿素-AM/PI)对第 3 天和第 5 天的 HSF 细胞生长情况进行染色,并使用荧光显微镜观察。在 Calcein-AM/PI 染色图像中,活细胞被 Calcein-AM 染成绿色,而死亡或垂死的细胞被 PI 染成红色。各组无明显形态异常,绿色和红色荧光图像无明显差异,第3天各组均观察到大量HSF细胞。将HSF细胞接种于制备好的水凝胶上,培养1、3、3天。5 天并使用 CCK-8 溶液处理,记录 450 nm 处的 O.D 值,这表明存在代谢活性细胞。根据 CCK-8 结果,所有获得的水凝胶的 O.D 值随时间增加,证实了它们良好的生物相容性。AC@PDA/ECM-G 水凝胶在第 3 天和第 5 天显示出最高的 O.D 值。伤口愈合的效率在很大程度上取决于伤口敷料的迁移能力。此外,使用划痕试验研究了制备的生物活性水凝胶的促迁移能力。与对照组相比,所有制备的水凝胶在划伤后 24 小时均显着增强 HSF 细胞迁移。24 h后AC@PDA/ECM-G水凝胶的细胞迁移能力高于其他组,表明所获得的AC@PDA/ECM-G水凝胶能够增强细胞迁移,加速细胞划痕的闭合。


促愈凝胶怎么排出《Chemical Engineering Journal》:可用作可促进愈合的伤口敷料新型生物活性复合水凝胶_https://www.jmylbn.com_新闻资讯_第5张

图4 制备的 ECM-G、PDA/ECM-G 和 AC@PDA/ECM-G 水凝胶与 HSF 细胞一起培养的代表性荧光显微图像


体外结果表明,基于脱细胞 ECM、GelMA 和 AC@PDA 纳米粒子制备的生物活性水凝胶具有作为伤口愈合伤口敷料的潜力。接下来,使用背部皮肤上具有圆形全层切除伤口(直径 15 毫米)的 Sprague-Dawley (SD) 大鼠模型评估获得的生物活性水凝胶作为伤口敷料的性能。皮肤模型形成后,在第 5、10 天通过观察和组织收集评估由纱布(空白组)、GelMA、ECM-G、PDA/ECM-G 和 AC@PDA/ECM-G 水凝胶组成的后续处理(图 5)。宏观上,与空白组相比,所有制备的水凝胶处理组(GelMA、ECM-G、PDA/ECM-G 和 AC@PDA/ECM-G 水凝胶)都显示出更快的伤口愈合。第 5 天,纱布和 GelMA 水凝胶治疗组没有观察到明显的愈合效果。然而,ECM-G、PDA/ECM-G 和 AC@PDA/ECM-G 水凝胶处理组显示出缩小的伤口,边缘清晰可见,也没有观察到结痂。在第10天,所有治疗组的伤口均明显缩小,尤其是AC@PDA/ECM-G水凝胶治疗组表现出禁食愈合效果。第15天,纱布治疗组仍有较大创面,GelMA、ECM-G、PDA/ECM-G水凝胶治疗创面基本愈合,仍留有黑色疤痕。然而,AC@PDA/ECM-G 治疗的伤口完全愈合,没有疤痕。与 GelMA 治疗组(40.72 μm2)、ECM-G 治疗组(21.88 μm2)和 PDA/ECM 相比,AC@PDA/ECM-G 水凝胶治疗组在第 10 天的伤口面积较小,为 13.53 μm2,而AC@PDA/ECM-G水凝胶治疗组的伤口面积大大减少至0.27 μm2,被认为完全愈合。此外,所有制备的生物活性水凝胶处理组(ECM-G、PDA/ECM-G 和 AC@PDA/ECM-G)在第 5、10 和 15 天的伤口尺寸均小于纱布和 GelMA 处理组。此外,所有制备的生物活性水凝胶治疗组的伤口愈合速度都快于纱布和 GelMA 治疗组,这证实生物活性水凝胶作为伤口敷料可以有效加速伤口愈合


促愈凝胶怎么排出《Chemical Engineering Journal》:可用作可促进愈合的伤口敷料新型生物活性复合水凝胶_https://www.jmylbn.com_新闻资讯_第6张

图5 制备的水凝胶作为伤口敷料用于伤口愈合


本研究使用组织病理学评估评估使用生物活性水凝胶作为伤口敷料的伤口愈合进展。通过 H&E 染色(图 6)和 Masson 染色进行的组织学分析结果与伤口愈合率(图 5)一致。伤口愈合是一个常见的生理过程,通常包括止血阶段、炎症阶段、增殖阶段和重塑阶段(图5A)。H&E和Masson染色结果显示,空白组和GelMA水凝胶治疗组15天后表皮层尚未完全成型。根据上皮细胞层评估(图 7),基于 ECM 的水凝胶(ECM-G、PDA/ECM-G 和 AC@PDA/ECM-G)处理组的评分高于空白组和 GelMA 处理组在第 5 天、第 10 天和第 15 天。AC@PDA/ECM-G 水凝胶处理组在第5天和第 15 天表现出最佳结果,证实表皮层已完全成形。此外,在所有组中均观察到成纤维细胞,并且成纤维细胞的数量从第5天到第15天增加。值得注意的是,第15天空白组的周围组织仍有炎性细胞浸润。第5天,各组的创面均有大量淋巴细胞、巨噬细胞等炎性细胞迁移至创面,引起炎症反应。显然,与基于 ECM 的水凝胶处理组相比,在空白组和 GelMA 水凝胶处理组中观察到更多的炎症细胞。从第 5 天到第 15 天,每组的炎症细胞评分均有所降低,并且基于 ECM 的水凝胶治疗组的评分低于其他组。此外,在第10天明显观察到毛细血管,并且从第10天到第15天新形成的毛细血管数量大大增加。


促愈凝胶怎么排出《Chemical Engineering Journal》:可用作可促进愈合的伤口敷料新型生物活性复合水凝胶_https://www.jmylbn.com_新闻资讯_第7张

图6 H&E 和Masson结果


促愈凝胶怎么排出《Chemical Engineering Journal》:可用作可促进愈合的伤口敷料新型生物活性复合水凝胶_https://www.jmylbn.com_新闻资讯_第8张

图7 上皮细胞层、成纤维细胞评分和炎症细胞评估


2. 总结与展望

本研究提出了一种合成 AC@PDA 纳米粒子并将其掺入脱细胞 ECM 和 GelMA 水凝胶中以制备用作伤口敷料的生物活性复合水凝胶的新方法。水凝胶是使用 ECM、GelMA 和 AC@PDA 纳米粒子制成的。所制备的水凝胶具有良好的力学性能、吸水保水性、自由基清除率、流变学性能和生物降解性。体外结果表明制备的生物活性水凝胶具有细胞相容性并增强细胞迁移能力,体内结果表明AC@PDA/ECM-G水凝胶在受试材料中具有最好的伤口愈合效果。结果表明,制备的生物活性水凝胶具有作为伤口敷料促进伤口愈合的巨大潜力。这些结果表明AC@PDA/ECM-G水凝胶具有用作伤口敷料的潜力。


文章来源:

https://doi.org/10.1016/j.cej.2023.143016


入群交流

围绕再生医学研究方向,EFL公众号建有“学术交流群”,扫描下方二维码加小编微信即可入群交流~

促愈凝胶怎么排出《Chemical Engineering Journal》:可用作可促进愈合的伤口敷料新型生物活性复合水凝胶_https://www.jmylbn.com_新闻资讯_第9张